Bekanntmachung des Aufstellungsbeschlusses und der Beteiligung der Öffentlichkeit gemäß § 3 Abs. 2 BauGB
- Einbeziehungssatzung „Kirchröttenbach II" -
Der Bau- und Umweltausschuss des Marktes Schnaittach hat in seiner Sitzung vom 13.11.2025 die Aufstellung der Einbeziehungssatzung „Kirchröttenbach II" gem. § 34 Abs. 4 Satz 3 BauGB beschlossen.
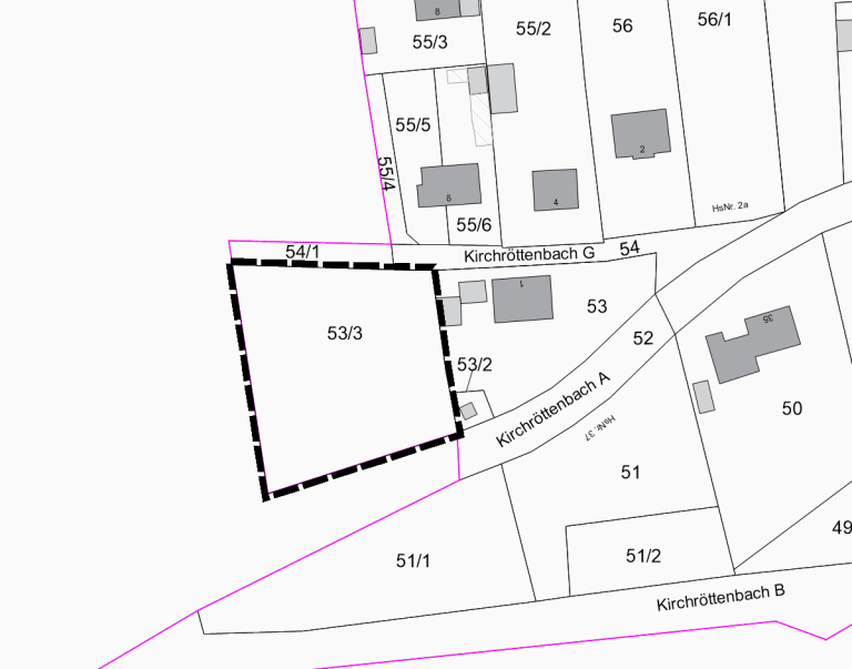
Der einbezogene Bereich umfasst die Fl.Nr. 53/3, Gemarkung Kirchröttenbach. Er befindet sich im Westen des Ortsteils Kirchröttenbach, nördliche der Ortseinfahrt.
Die Lage und Abgrenzung ist aus dem nachfolgenden Kartenausschnitt ersichtlich (maßstabslos, lila Linie Marktgrenze).

Ziel der Planung ist es, ein konkretes Bauvorhaben von Ortsansässigen zu ermöglichen und die dafür benötigte Fläche in den Ortsteil einzubeziehen.
Der Bau- und Umweltausschuss hat in seiner Sitzung vom 13.11.2025 außerdem den Entwurf der Einbeziehungssatzung "Kirchröttenbach II" gebilligt und für die Beteiligung der Öffentlichkeit gemäß § 3 Abs. 2 BauGB bestimmt.
Der Entwurf mit Begründung ist in der Zeit
vom 08.12.2025 bis einschließlich 16.01.2026
über die Homepage des Marktes unter https://www.schnaittach.de/bauleitplanverfahren sowie über das zentrale Landesportal für die Bauleitplanung Bayern unter https://geoportal.bayern.de/bauleitplanungsportal/index.html veröffentlicht. Der Inhalt der Bekanntmachung ist zusätzlich in das Internet eingestellt.
Die zu veröffentlichenden Unterlagen können alternativ im Rathaus des Marktes Schnaittach (Marktplatz 1, 91220 Schnaittach) während der Öffnungszeiten (Montag – Freitag von 08:15 – 12: 00 Uhr, zusätzlich Dienstag von 15:00 – 18:00 Uhr) oder nach Terminvereinbarung eingesehen werden.
Stellungnahmen können während der Dauer der oben genannten Veröffentlichungsfrist abgegeben werden. Die Stellungnahmen sollen elektronisch übermittelt werden. Sie können bei Bedarf aber auch schriftlich in der Verwaltung des Marktes abgegeben werden oder zur Niederschrift während der Dienststunden vorgebracht werden.
Nicht fristgerecht abgegebene Stellungnahmen können bei der Beschlussfassung über die Satzung unberücksichtigt bleiben, wenn der Markt den Inhalt nicht kannte und nicht hätte kennen müssen und deren Inhalt für die Rechtmäßigkeit der Satzung nicht von Bedeutung ist (§ 3 Abs. 2 Satz 4 zweiter Halbsatz BauGB i.V.m. § 4a Abs. 5 BauGB).
Umweltbezogene Informationen liegen in der Art vor, dass in der Begründung zur Satzung Ausführungen zu umweltschützenden Belangen, zur Eingriffsregelung und zum Artenschutz beinhaltet sind.
Hinweis zum Datenschutz
Die Verarbeitung personenbezogener Daten erfolgt auf der Grundlage der Art. 6 Abs. 1 Buchstabe e (DSGVO) i. V. mit § 3 BauGB und dem BayDSG. Sofern Sie Ihre Stellungnahme ohne Absenderangaben abgeben, erhalten Sie keine Mitteilung über das Ergebnis der Prüfung. Weitere Informationen entnehmen Sie bitte dem Formblatt „Datenschutzrechtliche Informationspflichten im Bauleitplanverfahren“, das ebenfalls veröffentlicht ist.
Frank Pitterlein
Erster Bürgermeister

















